Slaati

الإعصار بيريل Beryl يحطم جميع الأرقام القياسية.. فيديو

منذ 1 سنة04311
الإعصار بيريل Beryl يحطم جميع الأرقام القياسية.. فيديو

مشاركة

وكالات

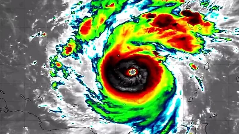
حطم الإعصار "بيريل" جميع الأرقام القياسية بدما تحول إلى عاصفة خطيرة من الدرجة الثالثة، في أول إعصار يضرب منطقة الأطلسي لهذا الموسم.

وأشار الخبير المناخي، الدكتور زياد الجهني، إلى أن الإعصار "بيريل" أول إعصار يصل للدرجة الخامسة، من موسم الإعاصير، ولم يتم توثيق أي إعصار عبر التاريخ بهذه القوة في هذا الوقت.

ووفقا للخبراء فإن الإعصار بيريل يهدد منطقة جنوب شرق الكاريبي برياح قوية تزيد سرعتها على 180 كلم بالساعة.

وقال المركز الوطني الأميركي للأعاصير إن الإعصار بيريل الذي يتحرّك حاليا في المحيط الأطلسي على بعد نحو 675 كلم شرق جزيرة باربادوس، يواصل الاشتداد بشكل متسارع منذ صباح الأحد.

وأشار إلى أن الإعصار يواصل الاشتداد سريعا، لافتا إلى أنه قد يشتدّ أكثر ليصبح “إعصارا بالغ الخطورة من الفئة الخمسة” عند بلوغه تلك الجزر في الكاريبي.

وبحسب أحدث تحذير صادر عن المركز الوطني الأميركي للأعاصير، فقد أطلقت السلطات في باربادوس وسانت لوسيا وسانت فنسنت وجزر غرينادين وغرينادا وتوباغو، تحذيرات من أعاصير، فيما كانت التحذيرات من العواصف الاستوائية سارية في مارتينيك ودومينيكا.

ولفت المركز إلى أن الإعصار بيريل كان مصحوبا برياح ناهزت سرعتها 185 كلم بالساعة، وذلك قرابة الساعة الثامنة صباح الأحد (12:00 بتوقيت غرينيتش)، محذرا من “رياح تهدد الحياة” في جزر ويندوارد.

وأردف: "من المتوقع حدوث أضرار مدمّرة بسبب الرياح مع تحرك عين العاصفة بيريل عبر أجزاء من الجزر".

وأوضح أن سرعة الرياح في بعض المواقع قد تكون أقوى بنسبة 30% من تلك المدرجة في التحذيرات في هذه الأماكن.

ويرى الخبراء أن تشكّل عاصفة بهذه القوة في مثل هذا الوقت المبكر من موسم الأعاصير في المحيط الأطلسي الممتد من مطلع يونيو حتى نهاية نوفمبر، ظاهرة نادرة جدا.

 

التعليقات ()

مشاركة

أخر الأخبار

WhatsApp Image 2025-11-15 at 1.41.09 AM.jpeg
السالمي: أحمد الغامدي وأبو الشامات يستحقان الفرصة بدلًا من مندش ومجرشي .. فيديو
الرياض
منذ 2 ساعة
0
1591
WhatsApp Image 2025-11-15 at 12.59.04 AM.jpeg
الهزاع:الهلال والاتحاد والأهلي سيدخلون في جو المنافسة مع النصر .. فيديو
الرياض
منذ 2 ساعة
0
1613
WhatsApp Image 2025-11-14 at 3.34.55 PM.jpeg
الملا: من العقوق تصوير الوالدين كمحتوى ينشر على مواقع التواصل ..فيديو
الرياض
منذ 2 ساعة
0
1592
WhatsApp Image 2025-11-14 at 6.45.08 PM.jpeg
خلل خطير بفعل التصفح يكشف محادثات ChatGPT عبر جوجل
واشنطن
منذ 2 ساعة
0
1587
WhatsApp Image 2025-11-15 at 12.30.51 AM.jpeg
كرواتيا تحسم تأهلها إلى كأس العالم 2026
كرواتيا
منذ 3 ساعة
0
1710
إعلان
مساحة إعلانية